県内文化資源詳細
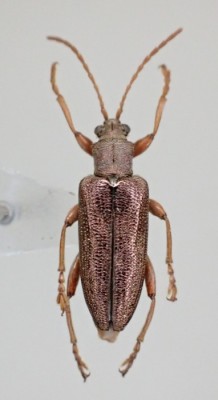
アカガネネクイハムシ
| 項目 | 内容 |
|---|---|
| 文化資源区分 | 動物・植物・鉱物等 / 動物 |
| 名称 | アカガネネクイハムシのタイプ標本 |
| 名称よみ | あかがねねくいはむしのたいぷひょうほん |
| 所在地 | 栃木県宇都宮市睦町2-2 【Google Maps】 |
| 市町等 | 宇都宮市 |
| 所有者/管理者 | 栃木県立博物館 |
| 公開状況 | 施設にお問い合わせください |
| 概要 | 新種として発表された時の研究で使用された、アカガネネクイハムシ(Donacia hirtihumeralis)のタイプ標本です。 この標本は、栃木県さくら市で採集されました。体長は8.5mmです。 本種は栃木県のほか、青森県、岩手県、宮城県に分布していて、茨城県では絶滅したと考えられています。福島県では見つかっておらず、分布が分断されています。 タイプの種類と標本番号:パラタイプ、Insecta 1 |
| 画像二次利用条件 | CC BY-NC-ND(表示-非営利-改変禁止) |
| リンク | 栃木県立博物館HP |
| リンク | 県立博物館・美術館に行こう!ワンコイン1日乗車券 |
