県内文化資源詳細
リョウモウナガゴミムシ
| 項目 | 内容 |
|---|---|
| 文化資源区分 | 動物・植物・鉱物等 / 動物 |
| 名称 | リョウモウナガゴミムシのタイプ標本 |
| 名称よみ | りょうもうながごみむしのたいぷひょうほん |
| 所在地 | 栃木県宇都宮市睦町2-2 【Google Maps】 |
| 市町等 | 宇都宮市 |
| 所有者/管理者 | 栃木県立博物館 |
| 公開状況 | 施設にお問い合わせください |
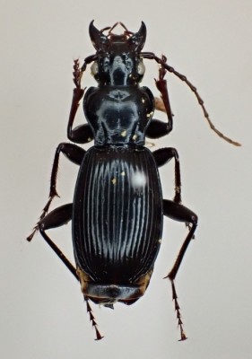
| 概要 | 新種として発表のされた時の研究で使用された、Pterostichus ryomoensis (ground beetle)のパラタイプ標本(Paratype)です。 この標本は、栃木県足利市(あしかがし)で採集されました。体長は19.7mmです。 “ryomoensis”は、この種類が見つかった、栃木県と群馬県にまたがる両毛(りょうもう)地域にちなみます。 タイプの種類と標本番号:パラタイプ、Insecta 32 |
| 画像二次利用条件 | CC BY-NC-ND(表示-非営利-改変禁止) |
| リンク | 栃木県立博物館HP |
| リンク | 県立博物館・美術館に行こう!ワンコイン1日乗車券 |
