県内文化資源詳細
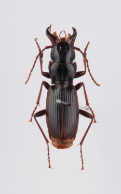
ニッコウオオズナガゴミムシ
| 項目 | 内容 |
|---|---|
| 文化資源区分 | 動物・植物・鉱物等 / 動物 |
| 名称 | ニッコウオオズナガゴミムシ |
| 名称よみ | にっこうおおずながごみむし |
| 所在地 | 栃木県立博物館 |
| 市町等 | 宇都宮市 |
| 所有者/管理者 | 栃木県立博物館 |
| 公開状況 | 随時 |
| 概要 | この標本は、那須塩原市の山地で採集された個体です。この種類の特徴である、大型の頭や左右非対称の大あごが確認できます。 この種類は、日光の標本に基づいて、世界共通の名前(学名)が付けられたゴミムシです。 最初に発見したイギリスのジョージ・ルイスは、この種類について印象に残っていたようで、「男体山山麓の深い森の中で、石の下からオスとメス一つずつがみつかった」という内容の採集記録を残しています。 |
| 画像二次利用条件 | CC BY-ND(表示-改変禁止) |
| リンク | 栃木県立博物館 |
