県内文化資源詳細
タガメ_斜め
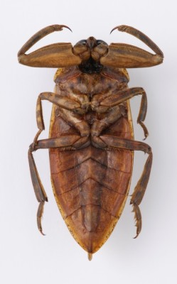
タガメ_背面.jpg
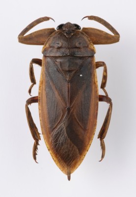
タガメ_腹面.jpg
| 項目 | 内容 |
|---|---|
| 文化資源区分 | 動物・植物・鉱物等 / 動物 |
| 名称 | タガメ |
| 名称よみ | たがめ |
| 所在地 | 栃木県立博物館 |
| 市町等 | 宇都宮市 |
| 所有者/管理者 | 栃木県立博物館 |
| 公開状況 | 随時 |
| 概要 | 栃木県のレッドリストでは要注目に指定されています。水辺で暮らす大型の水生昆虫で、日本に生息するカメムシの仲間では最大級。 全国的に減少している中、県内ではまだ広い範囲に生息しており、数も多いです。 この標本をはじめ、タガメの標本を残し続けることで、過去ではどの範囲に分布していたのか、どの場所で増えたり減ったりしているのかなどを判断することができます。そのため、現在でも少しずつタガメを標本に残して博物館で保管しています。 |
| 画像二次利用条件 | CC BY-ND(表示-改変禁止) |
| リンク | 栃木県立博物館 |
