県内文化資源詳細
コオイムシ
| 項目 | 内容 |
|---|---|
| 文化資源区分 | 動物・植物・鉱物等 / 動物 |
| 名称 | コオイムシ |
| 名称よみ | こおいむし |
| 所在地 | 栃木県立博物館 |
| 市町等 | 宇都宮市 |
| 所有者/管理者 | 栃木県立博物館 |
| 公開状況 | 随時 |
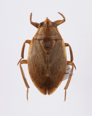
| 概要 | この標本は、那須町高久丙で採集されました。大きさは22mm。明るい体色は、栃木県内のコオイムシとして一般的です。 栃木県版のレッドリストに掲載されていますが、増加しているようで見つかる場所や頻度が増えています。 |
| 画像二次利用条件 | CC BY-ND(表示-改変禁止) |
| リンク | 栃木県立博物館 |
